Из-за мощного тайфуна на Филиппинах пострадали 27 человек
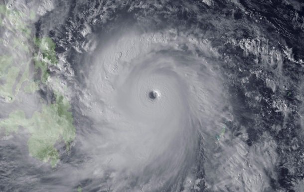
Скорость ветра тайфуна "Хагупит" в первые дни достигала 210 км в час.

Число жертв тайфуна "Хагупит" на Филиппинах возросло до 27 человек, однако по мере продвижения в глубь страны стихия теряет свою силу, не причиняя серьезного ущерба. Об этом сообщает 9 декабря национальный Красный крест.
Большинство пострадавших - жители удаленного восточного острова Самар, который первый принял на себя удар тайфуна, скорость ветра которого в первые дни достигала 210 км в час. Двигаясь на запад, в сторону столичного региона, где проживает около 12 млн человек, разрушительная сила стихии постепенно ослабевала, и он уже квалифицировался как шторм.
На 9 декабря в Маниле прошли небольшие осадки, однако не такие сильные, как прогнозировались ранее. Многие из тех, кто был вынужден покинуть свои дома, уже вернулись из центров эвакуации. Жизнь в столице возвращается в нормальное русло.
Вместе с тем, как отмечает 9 декабря электронная версия газеты New Straits Times, число жертв может увеличиться, поскольку отсутствует связь с рядом удаленных провинций.
"Хагупит", название которого переводится как "кнут", стал 22-м по счету тропическим циклоном, сформировавшимся в Тихом океане в этом сезоне.
Как сообщал Dialog.ua, в Румынии произошло землетрясение магнитудой 4,4.
Подземные толчки ощутили и жители соседней Молдавии.
Землетрясение магнитудой 4,4 произошло в воскресенье вечером в Румынии. Как сообщили журналистам в румынском национальном институте геофизики, эпицентр подземных толчков находился в регионе Вранча в Карпатских горах, на глубине 38 км.
Последние новости
Каспаров рассказал, к чему нужно готовиться, и предрек дальнейшие шаги Путина: "Большая битва будет"
Обострение возле Окинавы: китайские истребители пошли на опасный маневр против японских самолетов
19:57Наступление России под Купянском захлебнулось: ВСУ перерезали логистику и выбивают россиян - СМИ
18:22
Осечкин рассказал, когда может произойти знаковое для Украины событие, которое изменит ход войны
"Мы недооценили Украину" , - российский пропагандист Леонков в эфире признал "неудобную правду"
16:45Россия объявила "Мадяра" в международный розыск, вызвав его реакцию: "Аннушка уже разлила масло"
16:22